Lista dokumentów :
1. Wykaz punktów.
2. Zasady licytacji.
3. Ogłoszenie o przetargu.
4. Załącznik nr 1.
5. Załącznik nr 2.
6. Załącznik nr 3.
7. Załącznik nr 4.
8. Załącznik nr 5.
9. Załącznik nr 6.
10. Mapa punkt 1/28.
11. Mapa punkt 1/16.
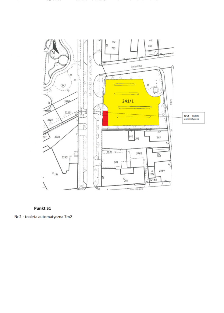
12. Mapa punkt sanitariat 1.
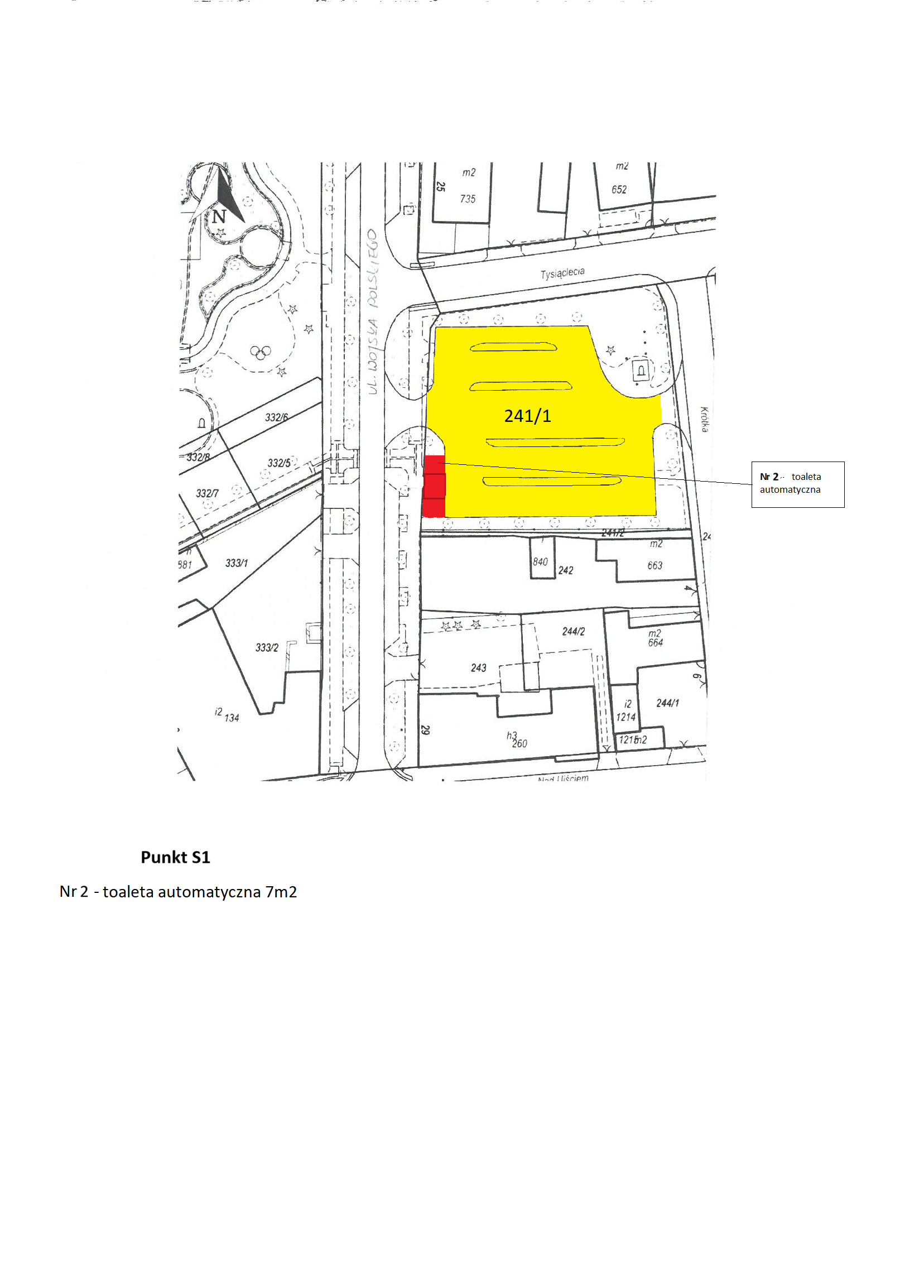
13. Mapa punkt sanitariat 2.
14. Ogłoszenie o wyborze oferty.
Wykaz dokumentów do wglądu online :





